External Source

Introduction To Reading Aeronautical Charts For Uav Pilots - Part 1

2024 16:16
Synopsis
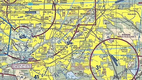
In this video Dr. J covers how to read aeronautical charts, covering the topics that UAV pilots are likely to see on the FAA Part 107 ...
Download Options
Choose a download method below. All links open in new tabs.
Service Features Action
SaveFrom
MP4 & MP3 • HD Quality • Browser Extension Available
Download
Security Notice: These are third-party services. We recommend using antivirus software and being cautious of pop-up ads.